Displasia de cadera en perros
La primera descripción de la displasia de cadera (DC) fue realizada por Schnelle en 1935, en Estados Unidos, describiéndose poco después en Europa (Bottarelli, 1935).
En 1966, se llega a la conclusión de que la displasia de cadera es una enfermedad del desarrollo: los cachorros nacen normales y con caderas normales; las anormalidades de la displasia aparecen durante el crecimiento.
La displasia de cadera es un trastorno genético que causa una cavidad de la cadera con formato incorrecto en el que la cabeza del fémur no se ajustan correctamente, dando lugar a la artritis y el dolor del animal. Cuando los perros jóvenes tienen displasia de cadera, estos pueden saltar como un conejo cuando se mueven, y los perros viejos pueden presentar signos de cojera después de hacer ejercicio. Además, los perros pueden tener problemas para ponerse de pie o subir y bajar escaleras.

El exceso de trabajo en un animal de talla grande en su periodo de crecimiento favorece también su aparición.
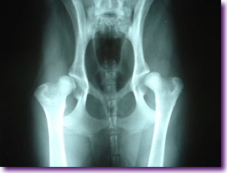
La displasia de cadera aparece cuando al finalizar el desarrollo de la articulación coxofemoral, el acetábulo cotiloideo y la cabeza femoral no concuerdan mutuamente entre sí en su forma. Esta no concordancia pude ser debida, en primer lugar, a un acetábulo plano, con lo que se dificultará la sujeción de la cabeza femoral, y aparecerá una sobrecarga tanto en el cartílago de la cabeza del fémur como en el del acetábulo, produciéndose una osteoartritis. Si en lugar de una acetábulo plano nos hallamos ante una cabeza de fémur demasiado pequeña o no esférica, se darán las mismas cargas desiguales produciéndose los mismos cambios degenerativos.


Actualmente, además de la valoración radiológica, contamos con el TAC, la RNM, y, uno de los más útiles: la artroscopia. La artroscopia nos permite ver la articulación, valorar el cartílago, tocarlo, sopesar sus lesiones, ver la distensión de la cápsula y de los ligamentos acetabular y redondo del acetábulo... Nos da una idea real del estado de la articulación. Sin embargo, todos los clubes e instituciones siguen rigiéndose por el diagnostico radiológico del perro adulto.
Los procesos artrósicos, las exostosis óseas, la presencia de osteofitos, la perdida de congruencia y la mala conformación articular determinaran la gravedad de la DC. Se ha intentado valorar al máximo las conformaciones anatómicas de las estructuras óseas para poder precisar al máximo -incluso sin existir degeneración de cartílago- la existencia de la lesión. Además, debemos tener en cuenta las diferencias en la morfología ósea que se da.


La cría selectiva y el juego con los genes caninos ha provocado multitud de patologías que eran evitables.
Para tener un animal de compañía con buena salud, nada mejor que dejarte asesorar por tu veterinario especialista y de confianza.
Fuente:
Tarragó Riverola, A. Centro de Especialidades Veterinarias CEV
Flores, T. www.etohorus.com


